
Photo by Candice Emmons, taken under NOAA research permit, Northwest Fisheries Science Center.
What do you do when you have numerous marine mammal populations on the brink of extinction? You need to know where they go and when they go there. How do you follow elusive creatures beneath the ocean-surface? Well, if the species are vocal, you eavesdrop on them, of course! When people ask what I do for a living and I reply, “marine mammal acoustician”, many laugh and say “no really, what do you do”? I reply, “no really, that’s a real job”. Eavesdropping on whales is exactly what you may think it is, with a modern twist. We deploy hydrophones (underwater microphones) on the seafloor, or acoustic tags on the animals, and record their vocalizations to track what locations they are utilizing and when. The type of acoustic tags we use are called D-TAGS (digital acoustic recording tags) and are non-invasive. They are applied via suction cup and programmed to fall off after about 12-24 hours. Once off the whale, the tag floats at the surface and sends a VHF radio signal we then use to locate and retrieve the tag. Once collected, we download the data and get an idea of the whale’s acoustic environment during the tag deployment. With the two species I primarily work with, belugas (Delphinapterus leucas) and killer whales (Orcinus orca), it works to our advantage because these are two of the most vocally active cetacean species. They like to talk, A LOT! With killer whales in particular, each population and pod (a social group of whales) has their own dialect, so not only can we tell if killer whales are in the area, we can narrow it down to which pod is hanging out!

Photo by Arial Brewer, taken under NOAA research permit, Northwest Fisheries Science Center.
After explaining my job as a whale-eavesdropper, I then get asked, “what are the whales actually saying?” While I’m not sure we will ever completely decode non-human communication, we have figured out the context of some calls. For example, in many whale species, we have identified which calls are used in a breeding context, which calls are feeding calls, and which calls are social calls. Along with the various whistles, moans, and pulsed calls toothed whales (Odontocetes) can make to communicate with each other, they also use echolocation to find and capture food. In our acoustic data, we can use these echolocation signals to track when individuals are searching for prey and then use what we call a terminal buzz (a series of extremely rapid clicks) to detect when they capture prey [1]. This type of information helps us understand what areas in their habitat they are utilizing to find food and successfully hunt. This information allows us to inform management decisions on which areas should be designated as critical habitat for these endangered populations [2,3].

Photo taken under NOAA research permit, Northwest Fisheries Science Center.
The third question I often get asked is “how did you even know this was even a job possibility and how did you get into this field?” Since I was young, I knew I wanted to study marine mammals and was fascinated with their behavior and their communication in particular. After many internships and volunteer opportunities in my undergraduate studies, I became a marine mammal trainer and research technician focusing on bio-acoustics. Bio-acoustics is an interdisciplinary field that combines the study of sound and biology, primarily relating to the sounds produced by living organisms relating to communication. The organisms that I have worked with include: California sea lions (Zalophus californianus), harbor seals (Phoca vitulina), southern sea otters (Enhydra lutris), northern elephant seals (Mirounga angustirostris), bottlenose dolphins (Tursiops truncatus) and killer whales (Orcinus orca). After about 8 years of using positive reinforcement training as a tool to conduct collaborative research with these charismatic animals, I made the tough decision to transition from working with marine mammals in this cooperative setting, to studying wild marine mammal populations, particularly endangered cetacean species.



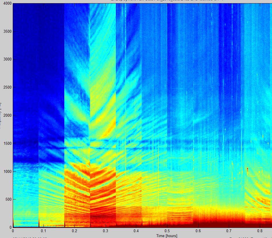
Above are three spectrograms, or visual representations of signals, that represent sound patterns and intensity (loudness) over time. The warmer colors represent louder sounds. Left picture: Southern resident killer whale spectrogram; Property of Northwest Fisheries Science Center, NOAA. Center picture: Cook Inlet beluga whale spectrogram; Property of Alaska Dept. of Fish and Game/Alaska Fisheries Science Center, NOAA. Right picture: Spectrogram of anthropogenic ship noise in Cook Inlet; Property of Alaska Dept. of Fish and Game/Alaska Fisheries Science Center, NOAA.
In my current positions, I’m focusing on two extremely endangered cetacean populations, the Cook Inlet beluga population in Alaska, and the southern resident killer whale population in the Pacific Northwest. These two populations live in very different locations, but are both facing very similar threats. Both populations are listed under the Marine Mammal Protection Act and are listed as “Species in the Spotlight” under NOAA Fisheries. Both populations have been listed as endangered for many years, yet continue to decline. As scientists, we believe the three main reasons for decline to be: exposure to high levels of anthropogenic (human-induced) noise [4] [5], high levels of contaminants found in their ecosystem as well as in their tissues [6], and a decline in prey availability (how much food is available in their environment). My focus has narrowed in on the anthropogenic noise issue due to my background in bio-acoustics and my fascination with cetacean communication. Since we know that both populations rely heavily on acoustics and communication to find other group members and locate prey, understanding how increasing levels of anthropogenic noise (i.e. cargo ships, whale watching vessels, ferries, military sonar and oil and gas exploration to name a few) may be affecting their ability to survive. This is where the eavesdropping portion of my job comes into play. Using our sea floor mounted hydrophones and acoustic tags, we analyze the many sound files to understand vocal communication, location of calls, and foraging success within their critical habitat and surrounding areas. We can also measure the levels and occurrence of anthropogenic noise in their habitats and how that is affecting their ability to forage and communicate with other group members.

Photo by Arial Brewer, taken under NOAA research permit, Northwest Fisheries Science Center.
Though both populations live in different geographical areas, the fieldwork portion is very much the same. We squeeze our team and equipment on small zodiac boats, search for many hours to locate the whales and then hope conditions align to suction-cup the tag on a whale or deploy a hydrophone recording package in the ocean. It takes a team full of patient, hardworking, and passionate individuals to get the job done successfully and safely. Fieldwork is often very wet, cold, and frustrating, but it’s important, exciting and meaningful to all involved. My favorite part of being at sea is never knowing what you are going to find. You never know what species may surface around your boat or what colors the sunset will show you that day. The field of marine mammal research is challenging, political, exhausting, and yet extremely rewarding. For me, I can’t imagine doing anything else with my career than eavesdropping on the underwater world.
Here are some website links containing sound clips from the underwater world: NOAA fisheries archive, Voices in the Sea, Discovery of Sound in the Sea, and Listening for Orcas

Photo taken under NOAA research permit,
Northwest Fisheries Science Center.
Arial Brewer is a Research Scientist with the University of Washington and NOAA Fisheries studying the acoustic ecology and behavior of cetaceans in the North Pacific.
References:
[1] Holt, M.M., Hanson, M.B., Emmons, C.K., Haas, D.K., Giles, D.A., Hogan, J.T. (2019). Sounds associated with foraging and prey capture in individual fish-eating killer whales, Orcinus orca. The Journal of the Acoustic Society of America, 46(5), 3475-3486.
[2] Castellote, M., Small, R.J., Lammers, M.O., Jenniges, J.J., Mondragon, J., Atkinson, S. (2016). Dual instrument passive acoustic monitoring of belugas in Cook Inlet, Alaska. The Journal of the Acoustic Society of America, 139(5), 2697-2707.
[3] Holt, M.M, Tennessen, J.B., Hanson, M.B., Emmons, C., Giles, D., Hogan, J., Wright, B.M., Thornton, S. (2019). How acoustics informs understanding of foraging behavior and effects of vessels and noise on killer whales. The Journal of the Acoustic Society of America, 146(4), 2897-2897.
[4] Castellote, M., Thayer, B., Mahoney, M., Mondragon, J., Lammers, M.O., Small, R.J. (2019). Anthropogenic noise and the endangered Cook Inlet beluga whale, Delphinapterus leucas: acoustic considerations for management. Marine Fisheries Review, 80(3), 63.
[5] Small, R.J., Brost, B., Hooten, M., Castellote, M., Mondragon, J. (2017). Potential for spatial displacement of Cook Inlet beluga whales by anthropogenic noise in critical habitat. Endangered Species Research, 32, 43-57.
[6] Krahn, M.M., Hanson, M.B., Baird, R.W., Boyer, R.H., Burrows, D.G., Emmons, C.K., Ford, J.K.B., Jones, L.J., Noren, D.P., Ross, P.S., Schorr, G.S., Collier, T.K. (2007). Persistent organic pollutants and stable isotopes in biopsy samples (2004/2006) from southern resident killer whales. Marine Pollution Bulletin, 54(12), 1903-1911.